Pferde | Distanzreiten | Pferde-Projekt | Equines Sarkoid |
Pferde-Projekt - Projekt-Pferd:
TherapietagebuchLuna
Ein Pferd kehrt sehr weit zurück - zu einem sehr engen Raum
und in ein sehr enges Reich - wenn es mit warmer Nase, sehr vorsichtig und
zart um euch nicht zu erschrecken, mit zutraulich gesenktem Kopf in eure offene
Hand bläst und seinen Augenrand an eurer Brust zu reiben sich herabläßt.
Rudolf G. Binding
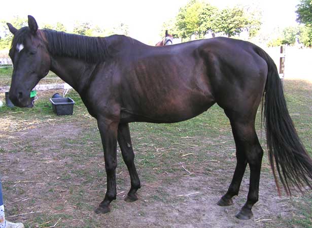
Luna hieß in ihrem früheren
Leben Piroschka und ist eine zehnjährige Traber/Westfalenstute.
Luna kurz nach ihrer Ankunft Mitte Juli 2005.
|
|
September 2005. Luna hat gut zugenommen, ist aber immer noch extrem distanziert
und bekommt häufig Koliken.
|
|
Anfang November 2005. Nach einer Magenbehandlung scheint der Zustand stabil zu
sein. Luna wird jetzt wieder anlongiert und macht dabei begeistert mit. Auch
Bodenarbeit gefällt ihr gut.
Wir haben in der Zwischenzeit die Zähne vom Spezialisten korrigieren lassen, nachdem wir unter tierärztlicher Aufsicht entwurmt hatten und den Zustand soweit stabilisieren konnten, dass sie genug Reserven hatte, um die Behandlung gut zu ücberstehen. Was uns jetzt noch Sorgen macht, sind die starken Aufgasungen, die immer wieder zu Koliken füchren. Der Allgemeinzustand hat sich stark gebessert; Luna hat Muskulatur aufgebaut und ganz langsam bessern sich auch Fell und Haut. Sie ist insgesamt zugänglicher und respektvoller. |
|
Inzwischen ist es März 2006. Luna hat nur noch eine einzige Kolik gehabt. Sie ist auf Heudiät gesetzt, bekommt zur Unterstüctzung der Darmflora Magnozym von Iwest. Das bekommt ihr gut, sie wird immer zugänglicher und bewegungsfreudiger. Seit Mitte Februar geht sie einmal in der Woche auf einen gefüchrten Ausritt mit Kindergartenkindern. Das gefällt ihr gut, sie verhält sich den Kindern gegenücber sehr rücksichtsvoll und vorsichtig. Die Aufgasungen werden seltener und werden vermutlich ganz weggehen, wenn Luna ab Mitte April wieder richtig antrainiert wird. |
|
|
Leider nimmt Lunas Geschichte kein gutes Ende. Am 30.11.2006 musste ich sie wegen
einer schweren Kolik bei uns auf dem Hof einschläfern lassen. Als ich früh zum Stall ging, um zu füttern, wieherte Luna mir aus dem Winterpaddock entgegen. Eigentlich hätte sie dort nicht sein können, so dass ich schon misstrauisch wurde. Sie hatte ein Hinterbein im Gittertor stecken, zog es jedoch sofort heraus, stand auf und ging auf mich zu, um sich sofort wieder hinzulegen. Ich sah, dass auch ein Teil des Holzzaunes, der den Stallpaddock vom Winterpaddock trennt, kaputt war. Ich bekam einen Schreck, habe automatisch erstmal Colosan gegeben, ohne nachzudenken. Luna lag immer noch; ich dachte, dass sie sich verletzt haben könnte und holte ihr Halfter, damit ich mir das bei Licht ansehen konnte. Sie folgte mir in die Box, legte sich dort sofort wieder hin. Sie war voller Erde, knirschte mit den Zähnen und hatte die Augen halb geschlossen. Ich rannte ins Haus, rief den TA an und bugsierte Luna auf den Reitplatz. Hier drehten wir dann unsere Runden. Luna war sehr unruhig, trabte immer wieder an, fing dann an, sich auf den Boden zu werfen. Wir haben es dann noch dreimal geschafft, sie wieder hochzutreiben, aber dann habe ich sie liegenlassen. Hockte dann bei ihr und habe ihren Kopf gestreichelt, während die Erkenntnis in mir wuchs, dass diese Kolik wesentlich schlimmer war als die anderen. Endlich kam der TA, spritzte ein Schmerzmittel und sagte, dass wenn wir sie wieder auf die Beine bekämen, sie in die Klinik könnte, wobei er ihre Chancen, eine OP zu überleben, als sehr gering einschätzte. Dann sah er ihr in die Augen und sagte "Das hat sich erledigt." Ich bekam einen Riesenschreck und erst jetzt wurde mir klar, dass mein Pferd hier und jetzt und heute sterben würde. Das Schmerzmittel brachte ein bisschen Erleichterung, aber aufstehen wollte Luna nicht mehr. Sie hatte aufgehört zu kämpfen, als sie auf dem Reitplatz angekommen war. Die Entscheidung, sie einschläfern zu lassen, war keine, die irgendeine Alternative gehabt hätte. Ich wollte nicht, dass sie sich weiter quält, und sie wollte gehen. Also haben wir sie gehen lassen, das ging ganz schnell und ganz friedlich. Ich saß bei ihr, habe ihren Kopf gestreichelt und immer wieder gesagt, dass sie es bald geschafft hätte. Dann wirkte die Narkose, und sie konnte sich endlich entspannen und ist eingeschlafen. Ich blickte auf und stellte fest, dass es inzwischen hell geworden war, das hatte ich gar nicht bemerkt. Der TA verabschiedete sich und sagte, er lasse mir eine Telefonnummer zukommen, damit Lunas Körper abgeholt würde. Notfalls würde er das über das Veterinäramt machen lassen. Ich habe dann Luna das Halfter abgenommen und die Decke ausgezogen, soweit es ging. Dann haben wir sie mit Wolldecken zugedeckt, wobei es mir wirklich schwerfiel, ihren Kopf zu bedecken. Vorher habe ich die anderen drei Pferde nacheinander am Halfter zu ihr geführt, damit sie verstehen konnten, was passiert war. Dann bin ich zur Arbeit gefahren. Als ich nachmittags wiederkam, war der Körper schon weg. Ich hätte das nicht ausgehalten, den Abtransport mitzuerleben. Ich habe für dieses Pferd getan, was ich konnte. Da kann ich mir keine Vorwürfe machen. Ich habe Luna ein gutes Zuhause gegeben, mit einer stabilen kleinen Herde, sauberen Ställen, gutem Futter und einer Arbeit, die sie geliebt hat. Ich habe sie nie ungerecht behandelt, egal, was sie getan hat. Sie konnte sich auf mich verlassen. Und ich glaube, dass dieses letzte Entgegenwiehern ein Hilferuf war. Sie wusste, dass sie es nicht schaffen würde, und sie wollte, dass ich ihr helfe. Ich bin trotz aller Trauer froh, dass ich dies noch für sie tun konnte und sie nicht alleine, draußen und im Dunkeln sterben musste. Ich werde ihre dunklen, sanften Augen vermissen, ihr weiches Fell und das Herzchen auf ihrer Stirn. Ich habe es noch in den Fingern, wie sich ihre kleinen Vollblut-Ohren anfühlten, ihre stahlharten Beine und die Muskeln unter ihrer weichen Haut. Ich werde vermissen, wie sie neugierig aus ihrer Boxentür schaute, die Ohren gespitzt und hoffend, dass man einen Pferdekeks für sie hat. Ich werde ihre unglaubliche Hingabe an die Kinder vermissen, wie sie sich genussvoll putzen, von den kleinen Mädchen führen ließ und wie sie im Trab immer aufpaßte, daß keins herunterfällt. Ich werde ihre Lebensfreude vermissen, die sie verstrahlte, wenn es ihr gut ging. Das vorsichtige Schnobern an meiner Jacke und das verstohlene, ganz dezente Kneifen mit den Zähnen, um einen Keks einzufordern. Das Herumtoben auf der Weide, mit viel Prusten und Imponiergehabe. Wie sie zwischendurch als erste von der Weide in den Stall galoppiert kam... Und es gibt kaum ein Maß, das die Abscheu fassen kann, die ich den Menschen gegenüber hege, die dieses wunderbare Pferd so haben herunterkommen lassen, so dass sie schließlich auf diese Weise gehen musste. Luna, wir vermissen Dich. |
